s
c
r
o
e
r
Join our community
weather
@bloody_phlegm
Source
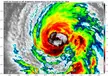
Hurricane Kirk's eye forming. Currently undergoing rapid intensification. No threat to any land.
0
0
Auto
More like this
Home
Discover
Upload
Collection
Login