s
c
r
o
e
r
Join our community
DOG
@ThatOneDankDog
Source
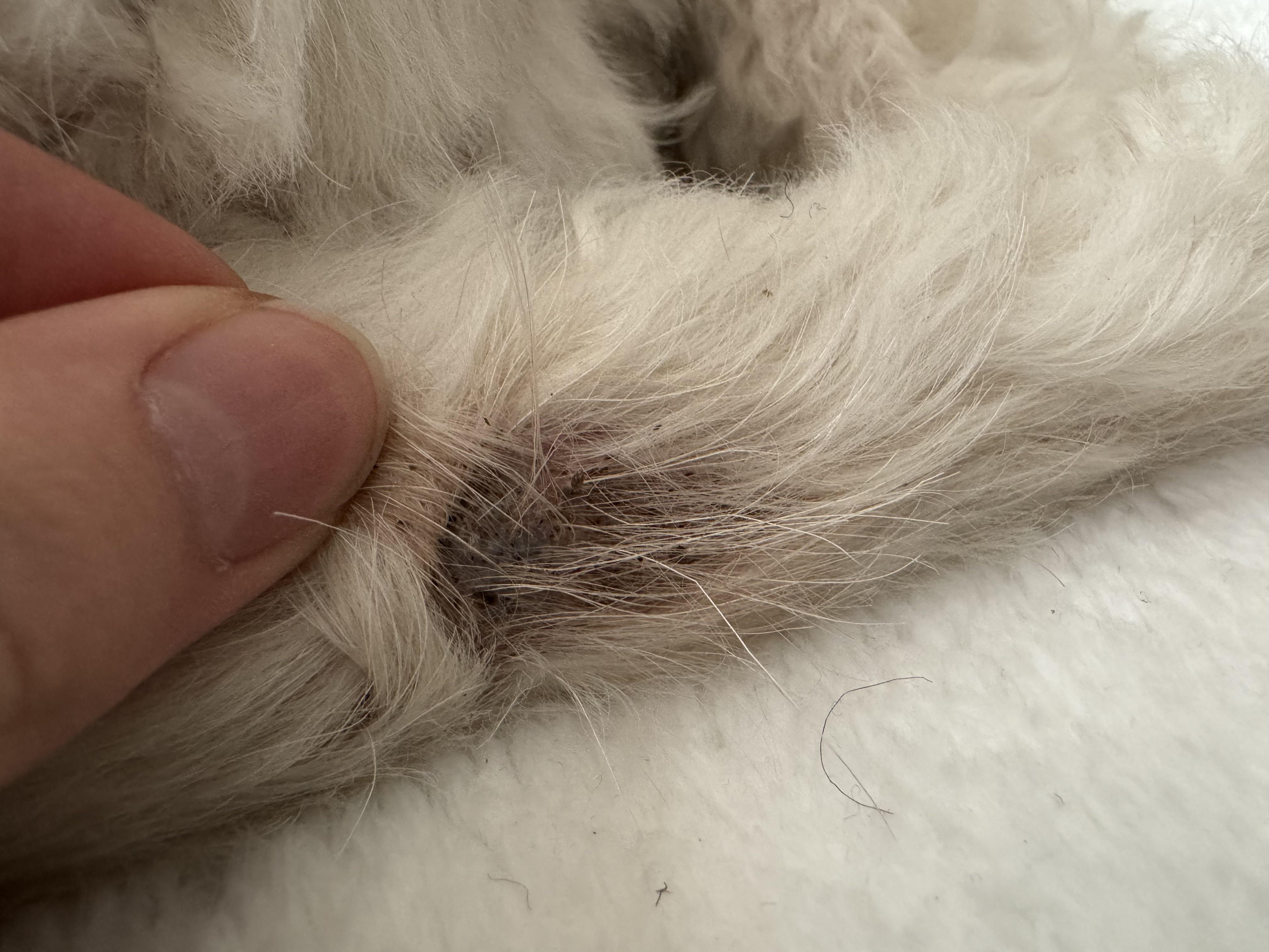
What is this in my dogs tail? I heard something about a gland thing but am unsure and how should I treat it?
0
0
Auto
More like this
Home
Discover
Upload
Collection
Login